(4WV4) Heavens Landing Airstrip Runway 24 and 6, 2000ft grass.
This is a private airport and prior permission is required to determine if the aircraft and pilot may take their Practical Test here.
Or
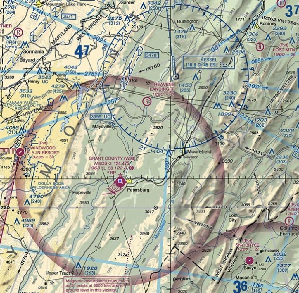
(W99) Grant County Airport in Petersburg, West Virginia.
I meet most general aviation applicants at this airport which is only about 11 miles Southwest of our airport for no additional fee.

FAA Authorized Location: Grant County Airport (W99) with (4WV4) Heavens Landing Airstrip located just to the northeast of it.
During the summer I meet most of my applicants at the Grant County Airport (W99) in Petersburg, West Virginia.

AIRNAV(4WV4) Heavens Landing Airstrip
Prior permission required.

STOL aircraft applicants are welcome to meet me at our Hangar Home at (4WV4) Heavens Landing Airstrip.

Runway 24 is the preferred direction for landing and Runway 6 for a downhill takeoff. Prior to your approach to land be sure to do a DEER Check!

Usually a fly by will clear the wildlife from the runway before starting your final approach to landing.

Takeoff (picture to the right) is on Runway 6 downhill with no obstacles.
We use cookies to analyze website traffic and optimize your website experience. By accepting our use of cookies, your data will be aggregated with all other user data.